Circleville – Circleville is seeing growth after several years of being somewhat stagnant. New growth of homes will be seen on the North and South side and the Circleville Mayor says progress is starting to happen after years of work.
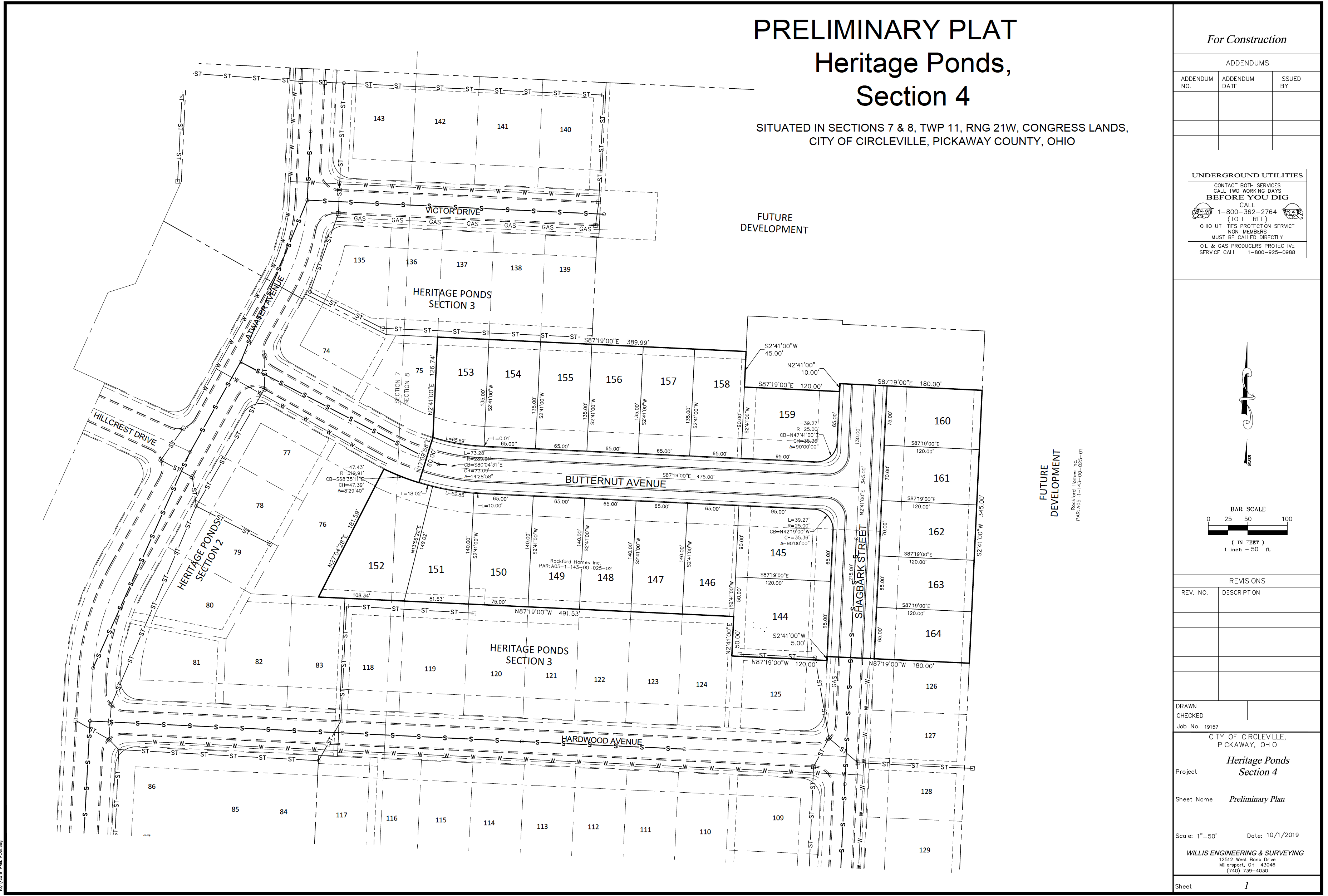
During the planning and zoning committee meeting on January 8th several new builders brought plans and intentions. One of those developers is Rockford Home who is planning on expansion on the North Side of Circleville. Heritage Ponds located off Walnut Creek pike has seen several years of new homes and the company says they are almost out of lots to build. The next expansion will extend Shagbark Street and Butternut avenue this will add an additional 21 new lots that the company says will be a combination of spec homes and custom homes. The homes in Heritage Ponds sell for mid range around 200 thousand and up. Taxes from these homes will help support the City of Circleville.

The second Development is just South of Walmart on South Court Street and East Circle Lane. The Armstrong Development company brought plans to last nights meeting of a cul-de-sac of condos just north of Logan Elm Village. The new development will have 40 new condos and a dedicated road. Those plans were not available at time of posting. This area is also annexed City of Circleville property.
The Mayor of Circleville Don Mclroy said that he was really happy with the growth in the area lately, he’s confindent development in the area is on the rise with the new businesses and developments that have announced and the ones they have in negotiations. “This is definitely a positive sign for Circleville.”
The fact is we are seeing a lot of new growth in the area over the last few years both in Circleville and Pickaway County. They have came in different forms of Major manufacturing like Sofidel, reinvestment in Dupont, to new smaller franchise companies, and new hotels. According to P3’s Ryan Scriber development, “We don’t get involved in retail development, we dont go chasing strip malls, restaurants, or retail, those things are a refection on the market in the area.









